13633 Circle Dr., Charlotte, NC 28262

13633 Circle Dr., Charlotte, NC 28262
Photo 1 of 1
$75,000
Beds Baths Sq. Ft. Taxes Built
0.00 0 0
On the market: 70 days

Est. Monthly Payment:

$449($449 + $0 taxes*)

Don't let your dream home get away from you! Be prepared!  Get qualified for a home loan today.

APPROVED
View full details, photos, school info, and price history
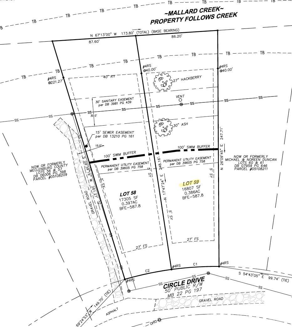
Vacant lot in an established subdivision minutes from UNCC and Uptown Charlotte. Public water and sewer are available at the street. The surrounding area continues to see strong growth, with new construction on the same street selling recently for $450k+. The N1-A zoning district allows single family homes, duplexes and triplex dwellings. A boundary survey is included, helping reduce upfront due diligence time and cost. Lot is located within a flood zone. Convenient location with strong long-term upside. Excellent opportunity for a builder, investor, or first-time ground-up project. The adjoining lot is also available for sale.
Listing courtesy of Andrew Balogh, EXP Realty LLC Ballantyne