351st N Ave Of Salome Hwy. #Lot E, Tonopah, AZ 85354

351st N Ave Of Salome Hwy. #Lot E, Tonopah, AZ 85354
Photo 1 of 1
$35,000
Sold on 12/15/23
Beds Baths Sq. Ft. Taxes Built
0.00 0 0
On the market: 144 days
View full details, photos, school info, and price history
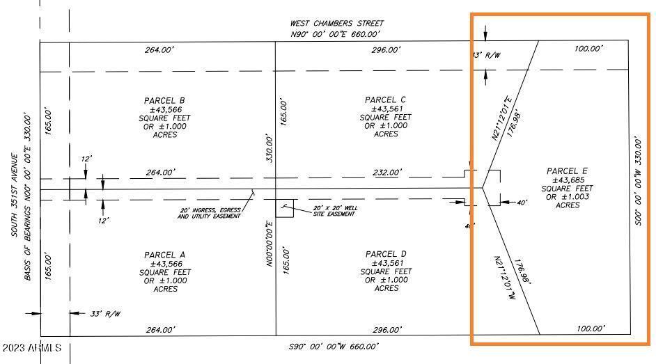
Great location, Build your dream home! This listing is for 1 acre of entire parcel as shown in the diagram. This lot is relatively close to Buckeye, straight shot, take Salome E to Baseline and you're there!!! Seller financing may be available if terms are matched.
Listing courtesy of Jose Reyes & Joe Dodani, eXp Realty & eXp Realty