376XX W Orange Dr. #3, Tonopah, AZ 85354

376XX W Orange Dr. #3, Tonopah, AZ 85354
Photo 1 of 4
$63,000
Beds Baths Sq. Ft. Taxes Built
0.00 0 0
On the market: 0 days

Est. Monthly Payment:

$377($377 + $0 taxes*)

Don't let your dream home get away from you! Be prepared!  Get qualified for a home loan today.

APPROVED
View full details, photos, school info, and price history
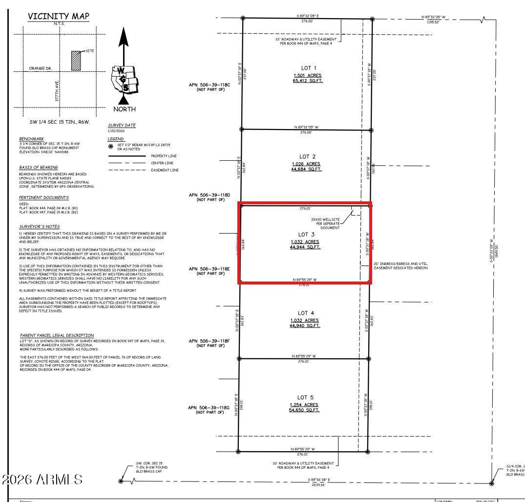
Located in the high-demand Coyote Ridge subdivision, this 1.03-acre parcel offers immediate and long-term value for investors and builders looking for a low-friction opportunity in a growing area. Surrounded by established custom homes and consistent new construction, this interior lot sits in the path of Tonopah's steady westward expansion. The seller is installing a shared water well—a significant cost savings and a key infrastructure box already checked. Level, usable, and construction-ready—ideal for a custom spec home or long-term hold. With increasing demand for homes on larger lots and limited available inventory in this area, the upside is real. • Water included via shared well (seller-installed) • Flat, build-friendly terrain = lower site prep costs
Listing courtesy of Jose Reyes, HomeSmart