5 Boyles, Camp Verde, AZ 86322

5 Boyles, Camp Verde, AZ 86322
Photo 1 of 1
$132,301
Sold on 9/02/06
Beds Baths Sq. Ft. Taxes Built
0.00 0 0
On the market: 56 days
View full details, photos, school info, and price history
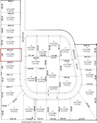
Great Value for Small C-3 zoned Lots. Subdivision has two Machine Shops scheduled for construction. Water, and Phase 3 power will be run throughout the project. Drainage and Strom Water treatment are designed into the park and will not be required of individual parcel owners. All storage will require screening, Steel buildings ok with false front facing road. The road will be heavy duty with 4 inches of Asphalt over an 18 inch engineered base. The park provides easy access to 260/I-17 and is a great hub for business with Prescott, Prescott Valley, Cottonwood, Clarkdale, Sedona, Jerome, and Strawberry, Pine and Payson. In addition it is the center of the state and the middle point between I-10 and I-40 on I-17. The property is also an enterprise zone an... (see supplement for full remarks) Great Value for Small C-3 zoned Lots. Subdivision has two Machine Shops scheduled for construction. Water, and Phase 3 power will be run throughout the project. Drainage and Strom Water treatment are designed into the park and will not be required of individual parcel owners. All storage will require screening, Steel buildings ok with false front facing road. The road will be heavy duty with 4 inches of Asphalt over an 18 inch engineered base. The park provides easy access to 260/I-17 and is a great hub for business with Prescott, Prescott Valley, Cottonwood, Clarkdale, Sedona, Jerome, and Strawberry, Pine and Payson. In addition it is the center of the state and the middle point between I-10 and I-40 on I-17. The property is also an enterprise zone and has potential incentives for business locating here from the state.
Listing courtesy of Robert Witt, Berkshire Hathaway Home Servic