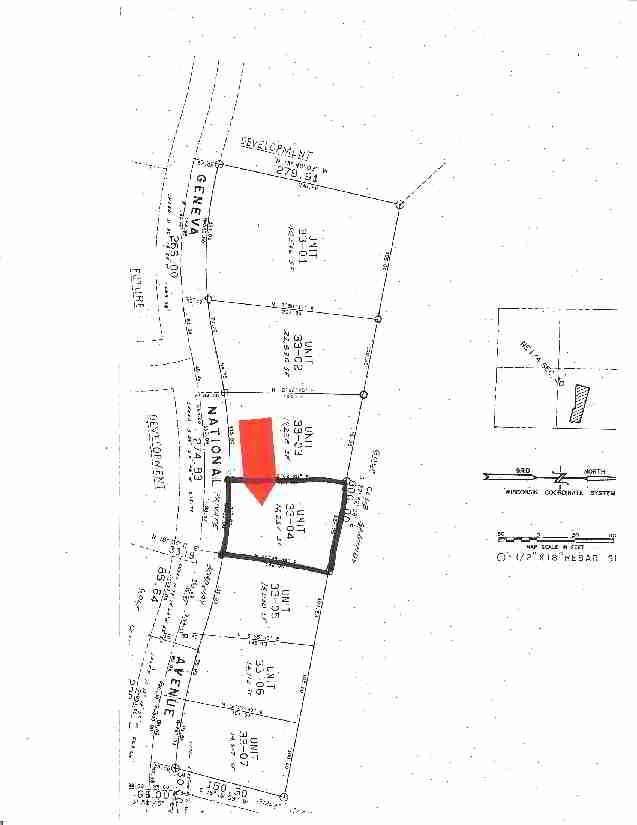
904 Geneva National Ave. #33-04, Geneva, WI 53147

904 Geneva National Ave. #33-04, Geneva, WI 53147
Photo 1 of 1
$54,000
Sold on 1/21/05
Beds Baths Sq. Ft. Taxes Built
0 $890
On the market: 321 days
View full details, photos, school info, and price history
Close to pools and tennis this homesite offers a beautiful view of two fairways and a pond in one direction and more golf course views in the other direction!
Listing courtesy of West End Management Service, LLC