[Address Hidden by Seller], Bluffton, SC 29910

[Address Hidden by Seller], Bluffton, SC 29910
Photo 1 of 1
$75,000
Sold on 11/09/17
Beds Baths Sq. Ft. Taxes Built
0.00 0 0 2018
On the market: 638 days
View full details, photos, school info, and price history
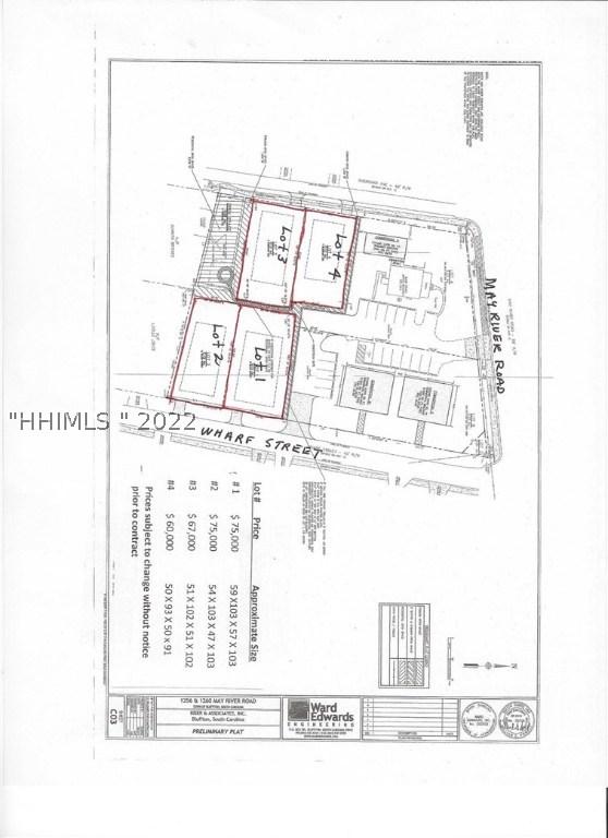
4 residential building lots developed in Old Town Bluffton; 2 blocks from the Oyster Factory Park and the new community dock. and within walking distance of all the restaurants, shops and events that Old Town offers. Suggested Cottage and site plans available to see. (Lot #1, Lot #2, Lot #3 sold, $75,000, $75,000 and $77,500) (Lot #4 -$80,000). Located behind Kiser & Associates Office on May River Road, 2 lots front on Guerrard Avenue, 2 lots front Wharf.
Listing courtesy of Stephen Kiser, Kiser & Associates Inc (210)