[Address Hidden by Seller], Gridley, IL 61744

[Address Hidden by Seller], Gridley, IL 61744
Photo 1 of 3
$30,000
Beds Baths Sq. Ft. Taxes Built
0.00 0 0
On the market: 121 days

Est. Monthly Payment:

$180($180 + $0 taxes*)

Don't let your dream home get away from you! Be prepared!  Get qualified for a home loan today.

APPROVED
View full details, photos, school info, and price history
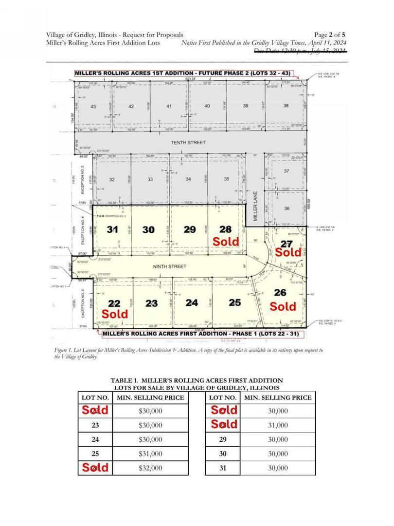
Lot 30: 1/3 Acre Lot available in new subdivision in NE Gridley - Miller's Rolling Acres First Addition. This is a great opportunity to build your custom dream home, using your favorite builder! Subdivision is located in the El Paso-Gridley School District with access to Village parks and public pool. Another amazing perk for the Village is golf carts are allowed within the city limits. All utilities are available to the building site. Call/Text George & Willow Gramm for more information and a tour of the Village of Gridley!
Listing courtesy of Willow Gramm, RE/MAX Choice