Caleb Setzer Rd., Newton, NC 28658
Photo 1 of 2
$30,000
Beds Baths Sq. Ft. Taxes Built
0.00 0 0
On the market: 110 days

Est. Monthly Payment:

$180($180 + $0 taxes*)

Don't let your dream home get away from you! Be prepared!  Get qualified for a home loan today.

APPROVED
View full details, photos, school info, and price history
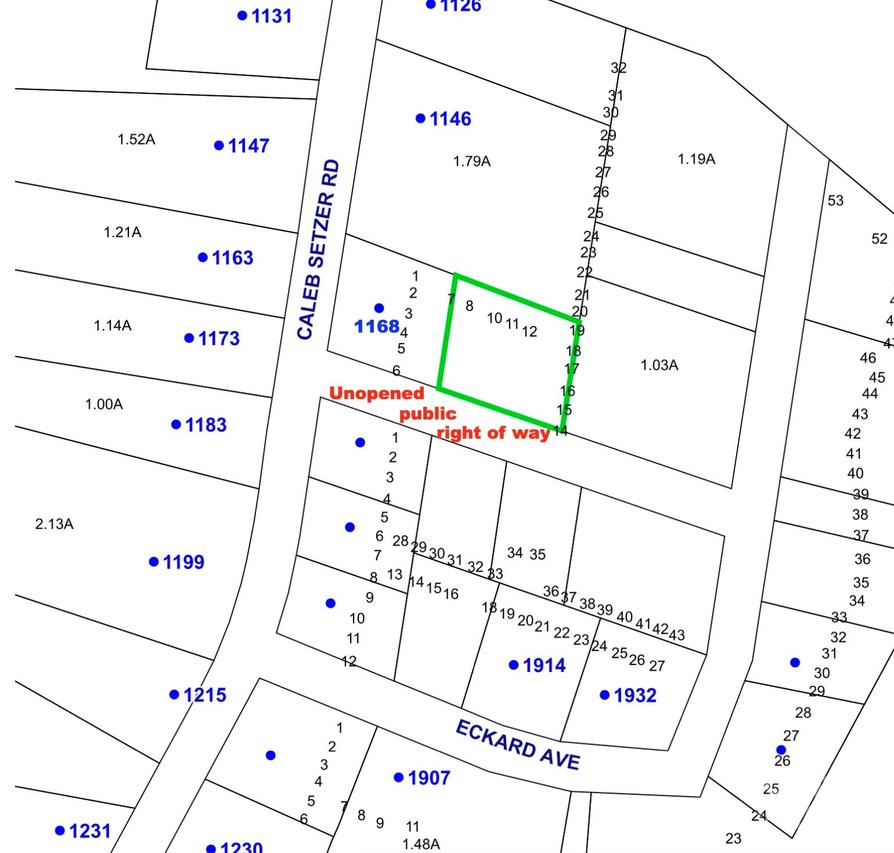
Tucked behind 1168 Caleb Setzer Rd, this 0.75± acre interior lot offers privacy and room to build. The parcel fronts an unopened platted public right-of-way—not a built road—keeping the homesite away from traffic while still providing platted access, per County. An existing detached garage on a concrete slab remains on site and previously had electrical service (now disconnected). Wooded, gently sloping topography offers several potential homesite locations. Buyer to verify access improvements, utilities, tap fee and suitability for intended use.
Listing courtesy of Yer Yang, EXP Realty LLC Mooresville