W Ozello Tr., Crystal River, FL 34429
Photo 1 of 1
$39,000
Sold on 12/12/22
Beds Baths Sq. Ft. Taxes Built
0.00 0 $173
On the market: 115 days
View full details, photos, school info, and price history
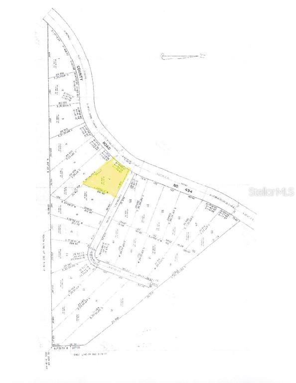
Beautiful 1 Acre Mobile Home & Site Built Home Lots, Hollow Oaks Estates, W Ozello Trail at Holloway Path, Ozello, FL 34429 (Crystal River) These lots have only Light Restrictions, NO HOA! Only 1.5 miles West of U.S. Hwy 98/19, Very Close to Shopping, Gulf of Mexico, and Crystal River. All Paved Roads, Electric and Water Lines to Each Lot. Citrus County Zoning CLRMH. Owner Terms are $4,900 down, $300/month, 8% APR. Go inspect the property anytime!
Listing courtesy of Roger Wood, JRW PROPERTIES INC